PROJECTS

 CANBERRA HEALTH DISTRIBUTION WAREHOUSE HUME

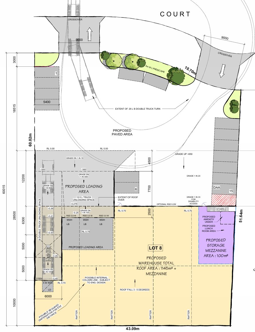
PALMER RELOCATIONS AUSTRALIA

CH3 10 VAL REID

5-9 VAL REID

1 VAL REID

Environa stage 3

environa stage 2

TIP top distribution centre